katastrofična situacija

"Oluja svih oluja" Melissa napreduje, stigla do Jamajke

| Autor: Hina
(Reuters)

(Reuters)


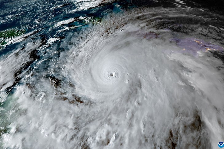
Uragan Melissa, najsnažnija oluja s kojom se Jamajka ikad suočila, stigla je u utorak do obale te karipske otočne države s 2,8 milijuna stanovnika. 

Oluja 5. i najjače kategorije udarila je na obalu s vjetrovima do 295 kilometara na sat, objavio je američki Nacionalni centar za uragane. 

"Razaranje bi moglo biti kakvo ljudi na Jamajci nikada nisu vidjeli“, rekao je Alex DaSilva, glavni stručnjak za uragane američke meteorološke agencije AccuWeather.

Lokalni dužnosnik Desmond McKenzie kazao je da je gotovo šest tisuća ljudi odvedeno u privremena skloništa. Vlada je naredila obaveznu evakuaciju za oko 28 tisuća ljudi, no dio njih nije htio napustiti svoje domove. 

"Nemojte se kladiti protiv Melisse jer ćete izgubiti" upozorio je McKenzie. 

Stručnjakinja za tropske ciklone Svjetske meteorološke organizacije Anne-Claire Fontan naglasila je da je riječ o "katastrofičnoj situaciji". "Za Jamajku to će zasigurno biti oluja svih oluja". 

Očekuje se rast razine mora do četiri metra, uz količine oborina iznad 70 centimetara, što će uzrokovati "katastrofalne poplave i klizišta", rekla je Fontan. 

Susjedni Haiti i Dominikanska Republika danima se nose s velikom količinom oborina koje su odnijele najmanje četiri života, objavile su tamošnje vlasti. Troje ljudi već je izgubilo živote na Jamajci kada su pripremajući se za oluju pali sa stabla. 

Melissa će nakon Jamajke prijeći preko istočne Kube, i dalje kao snažan uragan,  a nakon toga preko Bahama čiji je premijer Philip Davis naredio evakuacije u istočnim i južnim dijelovima arhipelaga. 

Kubanske vlasti evakuirale su više od 500 tisuća ljudi s područja kojima prijete vjetrovi i poplave. 

Povezane vijesti


Podijeli: Facebook Twitter








Trenutno na cestama